Sam Cannon`s Moving Art

Sam Cannon`s Moving Art 

New York-based Motion Artist Sam Cannon specializes in creating surreal and experimental animated GIF images. Her interest in GIF animation started during her time at the Rochester Institute of Technology, where Cannon studied both photography and videography, although neither medium really appealed to her. “I liked the space between still and moving images and trying to explore that space which is why I got into GIFs.” Her personal work focuses on the manipulation of time, space, and the human form, altering its shape and adding elements to create experimental imagery. Living somewhere between still photography and video, her images explore the way we interact with never-ending moments in a 15 second clip. It takes a serious amount of work to create these unique GIFs, while a basic looping GIF can be produced more simply. Cannon’s heavily edited images require lots of attention to craft. This dreamlike and mesmerizing state can only be reached by editing and retouching every single frame of animation.

What I really like about this image is that it reminded me of the idea of "the first home, second home"- meaning that we're exploring the space between living in your own skin as your personal habitat and in contrast to that there is the "outside" habitat which based on your experiences, thoughts, feelings you create your outside habitat around you like your friends, work/school life, hobbies etc "second home"

593be7046aef7325c9f7807308339c70.jpg

Rui Zhou by Zhi Wei

Rui Zhou by Zhi Wei

1163221feb226c2ec8d7bb8a4b62eae9.jpg

Juuke Schoorl

8b52597042081bf2177a2ac88efa0e40.jpg

Dutch Artist Tests The Limits Of Human Skin In The Perfect Anti-Photoshop Series

Juuke Schoorl

In contemporary culture, we're all too used to seeing human skin smoothed out, cleared up, airbrushed and Photoshopped, until what was once fuzzy flesh with all its singular bumps and marks is made to resemble a flawless spread of plastic.

If you've just about had it with the ways skin is often depicted, allow Dutch artist Juuke Schoorl to give you a taste of something completely different. Her photography series "Rek," which translates to stretch, extends the aesthetic possibilities of skin, quite literally.

 

"I was inspired by the materiality of the human skin and how it reacts to external stimuli," the artist explained to The Huffington Post. "The adaptability of this curious stretchable material amazed me and I realized it is much more malleable than we usually notice or realize."

Instead of minimizing the more peculiar aspects of human skin, Schoorl brings any oddities or idiosyncrasies to surreal new heights. Using low budget supplies like nylon fishing rope and cellotape, she makes a canvas out of the human body, warping its slippery surface into surprising shapes and textures. Schoorl explained her intent to capture "not only [skin's] inherent flexibility and adaptability but also accentuate it’s function as our own biological upholstery. And possibly allow speculation about new aesthetic applications."

 

Craig Green

Craig Greens' work reminded me of Damien Poulain's work because of the shapes and colors. The theme for the project is habitat and so I then looked into Craig's work because he has a collection based on the idea of "wearable habitats" and so I thought about the idea of how every individual is carrying their home with them everywhere they go kinda like going camping but you have your tent to sleep in ( that being your safe place- your habitat).  

"A series of machines made of curtain rails and weights showcase this kinetic menswear collection shaped like tents and kites by British fashion designer Craig Green."
craig-green-moncler-collection-2019-fashion-design_dezeen_2364_col_11-1704x2556.jpg.1

"The capsule collection is the London-based designer's second installment for Italian brand Moncler's ongoing Genius project. Pieces include jackets, blousons, fishtail parkas, work shirts, and trousers in blocks of color."


craig-green-moncler-collection-2019-fashion-design_dezeen_2364_col_27.jpg.1

Green's brightly-coloured, utilitarian collection features an array of architectural volumes that resemble the shape of sports kites, which he describes as "wearable habitats".

"Green’s visionary way of dealing with items of clothing is architectural just as much as it is pragmatic.
The extreme shape in fact responds to a need, and as such, it performs,"
said Moncler

Inspired by the theme of protection and performance, an idea Green developed in his first collection for Moncler, the garments exhibit extreme forms, including stiff-hooded capes fastened with rope strings and sturdy, tent-like structures

"I have always explored ideas of protection and functionality within my work, something that is also at the core of Moncler's heritage," said Green.

"I thought it would be interesting for these ideas to be pushed further, interpreting Moncler's performance-based history and developing designs with their years of technical knowledge and expertise," he explained.\

https://www.dezeen.com/2019/01/14/craig-green-moncler-genius-design/

 

Romanian protest against PSD

3500.jpg3264.jpg

Protest in Romania

Damien Poulain

DP_Larg_Curtain-Senegal-0-991x1000.jpg

Screenshot 2020-04-23 at 12.50.14.png 

"Le temple"

Installation, Mayenne France

 Screenshot 2020-04-23 at 13.03.49.png

Screenshot 2020-04-23 at 13.00.44.png

Romanian protest against PSD

"There have been numerous protests against the Romanian Government between 2017 and 2019. In January 2017, days after the government of the Grindeanu Cabinet was sworn into office in Romania, protests took place throughout the country against ordinance bills that were proposed by the Romanian Ministry of Justice regarding the pardoning of certain committed crimes, and the amendment of the Penal Code of Romania (especially regarding the abuse of power).[42]

Despite the negative reactions from both the judicial institutions and the public, the newly sworn-in government secretly approved an ordinance modifying the Penal Code and Penal Procedure Code during the night of 31 January.[43][44] Opponents raised accusations that the ordinance was intended for the decriminalisation of government corruption, and to help hundreds of current and former politicians to escape ongoing criminal investigations or prison sentences.[45]

Immediately after it was announced that the ordinance was passed, more than 37,000 people protested that night. The next day, on 1 February, the protests swelled to over 300,000 people throughout the country, continuing then daily and peaking on 5 February, when over 500,000 Romanians protested throughout the country, making the protests the largest since the fall of Communism and the overthrowing of Nicolae Ceaușescu.[46][47][48] Since the main grievance of the protesters (the government interfering with the fight against corruption) was not addressed, but rather gradually joined by the attempts of the parliament to relax the anti-corruption laws,[49][50][51][52] the protests have continued on an almost daily basis throughout the country,[53] with more and more protesters demanding early elections in addition to the resignation of the government.[54] After the winter of 2017, the next mass protest was on 20 January 2018, when 50,000 – 100,000 Romanians went to the streets to protest against proposed changes to the penal code and to the justice system laws.[55][56] While protests on a smaller scale continued to happen almost daily, mass protests then erupted again on 10 August 2018, when an anti-government protest with the "Diaspora at Home" motto was held in Bucharest.[57][54][58] The 10 August 2018 protest was marked by unprecedented levels of violence in comparison to the other 2017–2018 protests, and lead to an ongoing resurgence of mass protests in Romania.[59][60][61]

So far, protestors have succeeded in compelling the government in 2017 to withdraw the contested ordinance and Florin Iordache,[62][63] who as justice minister was formally responsible for putting forward the ordinance, resigned shortly thereafter over the scandal that ensued.[64]"

 

"BUCHAREST (Reuters) - Tens of thousands of protesters rallied peacefully against the ruling Social Democrat government in the capital, Bucharest, on Saturday on the one-year anniversary of a violent protest where riot police disproportionately used force."

"The protest was organized and promoted by groups of Romanians working abroad, angry at what they say is entrenched corruption, weak public administration and attempts by the ruling coalition to weaken the judiciary in one of the European Union’s most corrupt states.

The recent murder of a 15-year-old girl in southern Romania who was found 19 hours after she called emergency number 112 three times has further incensed protesters over authorities’ slow response times.

More than 20,000 people both from the diaspora and from within Romania rallied outside government headquarters in scorching temperatures, waving Romanian and European Union flags and demanding the Cabinet’s resignation."

https://www.reuters.com/article/us-romania-protests/thousands-rally-in-romania-on-anniversary-of-violent-protest-idUSKCN1V00RV

 

 

XUAN HUA

XUAN HUA

London based Nhu Xuan Hua is a fantastic wind of fresh air in the world of fashion photography.

skin.jpg

 

 

Elastic Gender JENS OLE ÁRNASON

Skin

Skin for me symbolizes home and home is my habitat-if that makes sense and so skin for me is like a first home because you have to be comfortable in your own skin to then be able to be comfortable in the world.

Skin is the first home/habitat like your family and the materialistic things are the second home things like your house or the country you live in/ are from. 

I want to explore the idea of community and skin by taking my own pictures of my classmates to show my view on what habitat means for me.

9c7b3acc1c51acd08efc8147b744e640.jpg

 

SPENCER TUNICK.

I love these projects by SPENCER TUNICK.  I love how the pictures are so vulnerable and it truly shows the true human nature and how we are linked to nature.

It shows a sense of community and how they come together

When thinking about what a habitat is I feel like that can come in layers, the first one being our own skin and then the surroundings. 

Being comfortable in your own skin

 "Artist Spencer Tunick has been documenting the live nude figure in public, with photography and video, since 1992. Since 1994, he has organized over 100 temporary site-related installations that encompass dozens, hundreds or thousands of volunteers, and his photographs are records of these events. The individuals en masse, without their clothing, grouped together, metamorphose into a new shape. The bodies extend into and upon the landscape like a substance. Tunick stages scenes in which the battle of nature against culture is played out against various backdrops, from civic center to desert sandstorm, humans are returned to a pre-industrial, pre-everything state of existence. These group masses, which do not underscore sexuality, often become abstractions that challenge or reconfigure one's views of nudity and privacy. The work also refers to the complex issue of presenting art in permanent or temporary public spaces.


Spencer Tunick's body of work may come to help define or at least clarify the social, political, and legal issues surrounding art in the public sphere. Since 1992, Tunick has been arrested 5 times while attempting to work outdoors in New York City. Soon after his Times Square arrest, as with the previous 4 arrests, all charges were dropped. Determined to create his work on the streets of New York, the artist filed a Federal Civil Rights Law Suit against the city to protect himself and his participants from future arrests. In May 2000, the Second US district court sided with Tunick, recognizing that his work was protected by the First Amendment of the US Constitution. On June 3 of the same year, in response to the city's final appeal made to Justice Ruth Bader Ginsburg and the court at large, the US Supreme Court also ruled in favor of Tunick by remanding the case back down, allowing the lower court decision to stand and the artist to freely organize his work on New York City streets."
 

801502_Switzerland537-jpeg.jpg

467367_Big-Island-1-Hawaii-2003.jpg467371_Maui-4-Twin-Falls-2009.jpg467539_Cleveland-4-1-043.jpg542269_Baltic-1-2-878-jpeg.jpg801494_Dead-Sea-2-672-jpeg.jpg467353_San-Miguel-de-Allende-1-El-Charco-del-Ingenio-2011.jpg

The scale of justice

The Scales of Justice represent the balance of the individual against the needs of society and a fair balance between the interests of one individual and those of another. The personification of justice balancing the scales dates back to the Egyptian Goddess of Justice, Maat, who stood for truth and fairness.

We have decided that we want our banner to be represented 
by this symbol because it reflects upon the idea of
justice in politics and society. 

Unknown.jpeg.4

Climate change

The first idea was for me to talk about climate change because I have a passion for this subject. As a LDS (aka Mormon) I have always felt like we all had the responsibility to take care of this planet as it was given to us as a blessing. 

But then as a group, we have decided to focus on the idea of equality and opportunities for everyone no matter where you're from or who you are, and that is because we have found out that we all were from different backgrounds and we talked about our experiences and the things that define who we are. And we all decided that we have had moments where we have felt like a minority and that we have felt like sometimes because people focus on stereotypes instead of trying to get to know us better as individuals/people and so we want equal opportunities for everyone. 

 

I wanted to write my manifesto about climate change at first, and I found these really interesting images. I think climate change is such an important thing to be able to talk about and bring awareness. We have a responsibility to take care of our planet because it's the only one will ever get... 

I really liked the colors in the pictures and how textural they are. 

660px-Projected_Change_in_Temperatures_by_2090.png

B397DA7B-C211-4C0E-B932AFF5C6CC6E39_source.jpgcalifornia-fire-ss-jt-190924_hpEmbed_4x3_992.jpg

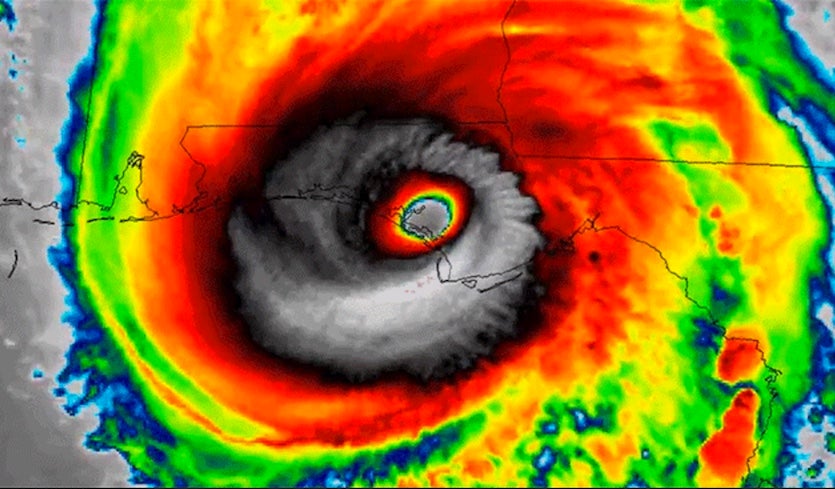
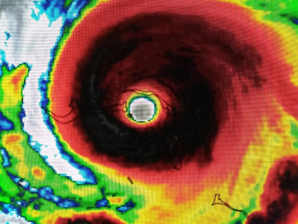
michael-ir-landfall-835px.jpgimages.jpeghttps---specials-images.forbesimg.com-dam-imageserve-1171625991-960x0.jpg?fit=scale.jpeg

Manifesto

To be exact, I want a world in which the people in power care for the wellbeing of the population and the country they are supposed to represent. I wish for a world in which I can feel safe to walk outside at 2 in the morning without being scared if I'm gonna make it home alright or not, and it is all due to the people we so blindly put into power. Power is corrupt, but a great leader with strong principles isn't.  I want a world in which we can focus on things that matter like climate change, education, and overall the people around us. 

Habitat- meaning

Habitat\


a person's usual or preferred surroundings.
the natural home or environment of an animal, plant, or
other organism.